耳朵听图像

在信号与系统第一周的作业中,留有一道MATLAB实验题目,要求课程同学们使用MATLAB中的短时傅里叶变换变换命令spectrogram分析一段带有双音频电话录音中的数字号码。初步认识对于信号的多种表示:数学表达式、函数图像以及频谱表示等等。

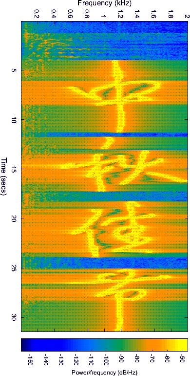
双音频电话号码声音的时频分析图谱
当然,在声音中除了可以嵌入数字编码,也可以嵌入图像信息。下面这段音频就嵌入了两个图片,一个是手写“中秋佳节”图片,另外一个是人头肖像画。可以在MATLAB中使用
soundata = audioread(…)命令将声音数据读入内容,在使用如下命令绘制出时频分析图谱:
spectrogram(sounddata, 4096,2048,500:2000,fs,‘yaxis’)大家可以试试,你是否可以听出嵌入不同图像后声音有何变化?


人的耳朵在接收外部声音信息的时候,在耳蜗内实际上利用特殊的螺旋形骨管就形成了对于声音的频谱分析,反映到人的大脑中形成对于声音的感知。
也许将来,对于双目失明的盲人,可以通过一定形式的训练,通过这些嵌入图片的声音完成对于图像的感知。
通过声音不仅可以获得外部图像,也可以用于探测发声物体的方位,下面这个录像显示,用于治理交通站违法鸣笛系统中,使用多普勒声波定位原理检测鸣笛车辆牌照的系统,辨别极为迅速,平均响应时间不到0.13秒,能把行驶中按喇叭的车瞬间定位,并拍照,100%准确。
在上海率先投入巨资完成此监控系统实施,仅三天即罚回巨额投资。从此,大上海全天候靜悄悄。喇叭声就是这样干掉的!这是该技术在世界上首次如此大规模的应用。可怕的高科技!
看到多普勒声音定位如此迅速精确,也许在下一届的信标比赛中,使用声音作为导引信标,就可以大大减少对于环境光线的依赖了。

文章来源: zhuoqing.blog.csdn.net,作者:卓晴,版权归原作者所有,如需转载,请联系作者。
原文链接:zhuoqing.blog.csdn.net/article/details/104135509
- 点赞
- 收藏
- 关注作者
评论(0)